Little Downham, Ely CB6

Little Downham, Ely CB6

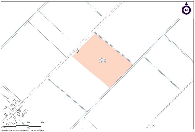
6.5 acres (2.6 hectares)

Asking price £60,000
Littleport 2.7 miles
Manea 4 miles
Ely 5 miles

Productive Grade 1 arable land located north of Ely, with a former farm building. In all extending to approximately 6.53 acres (2.64 hectares). The land is currently being farmed to a high standard under a mixed traditional combinable and root crop rotation.

Productive Grade 1 arable land located north of Ely, with a former farm building.

In all extending to approximately 6.53 acres (2.64 hectares).

For sale by private treaty.


Location

The land is located in the vicinity Pymoor and Head Fen, 4 miles to the north-west of Ely and 3 miles west of Littleport. Cambridge is situated 18 miles to the south.


Land

Extending to 6.53 acres (2.64 hectares), the Property comprises Grade 1 loamy and sandy soilscapes with naturally high groundwater and a peaty surface.

The land is currently being farmed to a high standard under a mixed traditional combinable and root crop rotation. Cropping history can be provided upon request.

Situated on the north-western boundary of the Property is a redundant timber-framed agricultural storage building, with sheet metal sides and cement-fibre roofing. Note: this building requires renovation prior to being restored to useable condition.


Method of Sale

For sale by private treaty.


Tenure & Possession

Vacant Possession will be achieved in either Autumn 2024 or Autumn 2025, upon completion of the harvest.


Environmental Schemes

The Property is not entered into any Environmental Schemes.


Holdover & Early Entry

To be discussed on an individual basis with the purchaser.


Drainage

The Property is fully under-drained.


Access

The Property is accessed off Fourth Drove.


Wayleaves, Easements & Rights of Way

The land is to be sold subject to, and with the benefit of, all existing wayleaves, easements, covenants and rights of way, whether or not disclosed.


Health & Safety

All viewings are carried out at the sole risk of the viewer and neither the selling Agent nor the Vendor takes responsibility.


VAT

Any guide prices quoted or discussed are exclusive of VAT. In the event that the sale of the land becomes a chargeable supply for the purposes of VAT, such tax will be payable (or become payable by the purchaser) in addition to the purchase price.


Sporting, Timber & Mineral Rights

To be included in the sale.


Local Authority

East Cambridgeshire District Council
The Grange
Nutholt Lane
Ely
Cambridgeshire
CB7 4EE


Viewings

Viewings can be conducted unaccompanied, providing that prospective purchasers have a set of marketing particulars to-hand. Please contact the Agent to register as interest prior to viewing.


Photography

The photographs within this brochure were taken in September 2024. The red line boundary overlay is approximate and for indicative purposes only.


Directions

Heading north from Little Downham, continue on California Road for 1 mile. Then turn right onto Main Drove, crossing the railway and continuing ahead for 500 yards. Turn right onto Fourth Drove. Continue down Fourth Drove for 1,000 yards, where the Property is situated on the right-hand-side.


What3Words

Drove entranceway:
/// eyelashes.down.part

Field parcel:
/// distilled.inviting.graver


Carter Jonas Contacts

Jamie Elbourn
Jasmine Holland

The next steps...

Before making an offer on a property you will want to consider your financial situation, your income and outgoings.

Will you finance the purchase of your next property from the sale of an existing property which can put you in a chain, arrange a mortgage through your bank or buy the property outright.

To help you finance your next property purchase, we have a long established relationship with an independent mortgage broker who can discuss your situation with you.

Remember that having a 'mortgage decision in principle' can make you a more attractive buyer when you make an offer on a property. Contact our mortgage advisers for free, no obligation and impartial advice.

Some advantages of a broker are:

  • They do all the legwork for you, working on your behalf with the lender
  • They compare wholesale mortgage rates from a large number of banks and lenders all at once
  • Their wholesale interest rates can be lower than retail (bank branch) interest rates
  • They offer more loan options because they work with numerous banks and lenders
  • They can finance tricky deals because of their knowledge and various lending partners
  • They are typically easier to get in contact with, and are less bureaucratic.

However advantages of working with your bank are:

  • You may be able to build off an existing relationship (and gain discounts if you have a checking or savings account)
  • You may already know the banker who will handle your mortgage
  • Banks may be more accountable than a smaller shop
  • They may offer lower interest rates in some cases
  • Their ability to add mortgage to existing banking profile and make automatic payments from linked account.

When you see a property you are interested in on our website, call us 24/7 to arrange a viewing. Or if you prefer, get in touch via our website and we will call you back to find a time to view the property that suits you.

Once you’ve found a property you want to buy, it’s time to make an offer. A bit of negotiation is to be expected, however don't offer so little that you end up in a lengthy negotiation process, as you might lose the property altogether if someone else makes a higher bid.

If other offers have been made on a property we aren't legally able to tell you what they are, but we may indicate if they were close to the asking price.

If you have a property to sell, why not see how we can help you.

Or if you’re considering letting your property, we can take the stress out of managing your rental, and our award winning lettings team offer a service that can be tailored to your needs.

Combined with nearly 170 years of experience and one of the highest customer satisfaction scores in the industry, Carter Jonas is the perfect property partner.

Why not book a free, no obligation valuation of your property and find out how Carter Jonas can help you make your next move.

Key property details
Property type
Land Farm
Total land
6.5 acres (2.6 hectares)
Carter Jonas reference
CBR240046

Suggested properties

Here are a few properties you might like, but within 2 extra miles of your current search

Guide price £228,000 24 acres (9.7 hectares)
Agricultural
Asking price £60,000
Agricultural
Asking price £50,000 6.6 acres (2.7 hectares)
Agricultural
Guide price £53,000 5.9 acres (2.4 hectares)
Agricultural
Thinking of selling?

Find out what your property is worth